Beraba
Beraba is a genus of beetles in the family Cerambycidae, containing the following species:[1]
- Beraba angusticollis (Zajciw, 1961)
 - Beraba cauera Galileo & Martins, 1999
 - Beraba cheilaria (Martins, 1967)
 - Beraba decora (Zajciw, 1961)
 - Beraba erosa (Martins, 1981)
 - Beraba grammica (Monné & Martins, 1992)
 - Beraba inermis Martins & Galileo, 2002
 - Beraba iuba Martins, 1997
 - Beraba limpida Martins, 1997
 - Beraba longicollis (Bates, 1870)
 - Beraba marica Galileo & Martins, 1999
 - Beraba moema Martins, 1997
 - Beraba odettae Martins & Galileo, 2008
 - Beraba pallida Galileo & Martins, 2008
 - Beraba piriana Martins, 1997
 - Beraba spinosa (Zajciw, 1967)
 - Beraba tate Galileo & Martins, 2010
 
| Beraba | |
|---|---|
![]()  | |
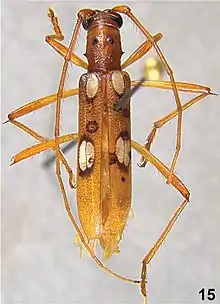
| Beraba limpida | |
| Scientific classification | |
| Kingdom: | |
| Phylum: | |
| Class: | |
| Order: | |
| Suborder: | |
| Infraorder: | |
| Superfamily: | |
| Family: | |
| Subfamily: | |
| Tribe: | |
| Genus: | Beraba Martins, 1997  | 
References
    
- Bezark, Larry G. A Photographic Catalog of the Cerambycidae of the World Archived 2013-08-27 at the Wayback Machine. Retrieved on 22 May 2012.
 
    This article is issued from Wikipedia. The text is licensed under Creative Commons - Attribution - Sharealike. Additional terms may apply for the media files.
_Figures_15%E2%80%9319_(cropped).jpg.webp)